StartsidanSnorkeltur vid ön Menjangan

Snorkeltur vid ön Menjangan


Du blir hämtad på hotellet och körd till Balis nordvästra hörn. Du passerar en liten dykbutik med snorkelutrustning och här tilldelas du mask, snorkel och simfötter i din storlek. Du körs vidare till en liten strand, där en båt väntar på att ta dig till det spektakulära och världsberömda revet vid ön Menjangan. Båtturen ger vind i håret och har du tur får du se sköldpaddor längs vägen. Du kan även se över till Indonesiens huvudö Java, som ser ut att ligga bara ett stenkast bort.

Når du kommer till revet utanför Menjangan berättar guiden för dig hur du ska förhålla dig under vatten och instruerar dig i hur mask, snorkel och simfötter fungerar. Innan du hoppar i vattnet är det viktigt att du kommer ihåg att smöra in dig med solkräm och eventuellt ta på dig en UV-tröja, då du kommer att simma runt på havsytan i flera timmar.

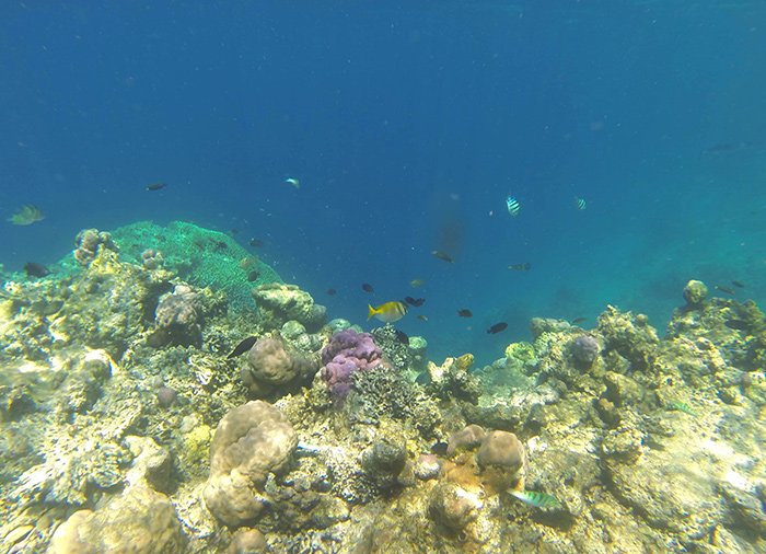
Revet och det marina livet här vid Menjangan är känt för att vara av absolut världsklass av både dykare och snorklare så det är bara att hoppa i. Din guide visar runt i vattnet och pekar ut och berättar om de fina, färgrika fiskarna och korallerna.

Efter en härlig dag seglar du på eftermiddagen tillbaka till Bali, varifrån du körs tillbaka till hotellet.

Nationalparksavgift, lunch och hyra av snorkelutrustning ingår i priset.

Längd: cirka 6 timmar

Minst 2 personer

Denna utflykt can genomförs med andra än TourCompass egna gäster.

Vi rekommenderar att du bokar utflykten i samband med att du bokar resan.

Pris:
Per person från:  1 290 kr
Asien
Mira Lindholm

Mira är vår Asienspecialist och även om hon har rest över stora delar av världen är det våra asiatiska resmål som ligger henne allra närmast om hjärtat.

Se öppettider
Måndag - torsdag kl. 10-16
Fredag kl. 10-14